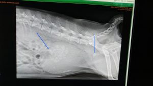
זואי הובהלה למרפאה כשהיא סובלת מחסימה בדרכי השתן. עכשיו תדמיינו שמישהו מונע מכם להשתין לא למשך שעה או שעתיים אלא שעות רבות וממושכות… אי אפשר לתאר את המצוקה שזואי סבלה ממנה כשהגיעה. בצילום רנטגן גילינו ששלפוחית השתן של זואי מלאה באבנים רבות שנוצרו שם, ושמספר אבנים סוררות נדחפו לכיוון היציאה מהשלפוחית וחסמו את האפשרות של זואי לתת שתן. זואי הוכנסה לניתוח דחוף במהלכו נפתחה השלפוחית והאבנים הרבות הוצאו והחסימה שוחררה. זואי התאוששה במהירות מפתיעה והודתה לנו בכשכושי זנב וליקוקים.



השארת תגובה

